Het jaar 2022 gaat de boeken in als opnieuw een recordjaar voor wat betreft droogte en neerslagtekort. Voor de 4de keer in 5 jaar heeft de natuur en daarbij de vissen het erg zwaar te voorduren.
VISambulance
Eind 2021 is gestart met het uitrusten van VISambulances verspreid door heel Nederland om beter voorbereid te zijn op droogte calamiteiten. Met de VISambulances zijn de mogelijkheden om vissen in nood te redden vergroot. Er is geïnvesteerd in transportbakken, netten, elektrovisapparatuur, zuurstofpompen, zuurstofmeters, teilen, keernetten etc. Dat de VISambulances in 2022 het meteen zo druk zouden krijgen had echter niemand verwacht. Na het natte jaar 2021 was iedereen de droogte haast vergeten zo leek het... Gelukkig waren de federaties en Sportvisserij Nederland zo verstandig om het project door te zetten, anders hadden er veel vissen niet meer geleegd in 2022.
Tegelijk met de VISambulance is er een website opgericht www.visseninnood.nl waar mensen de belangrijkste informatie kunnen vinden waar ze vis in nood kunnen melden. Mocht je vissen in nood zien, schroom niet om te bellen met het waterschap of de betreffende federatie. Ga in ieder geval niet zelf het water in, meestal verergerd de situatie hierdoor waardoor de nog aanwezige vissen massaal het loodje leggen!
We hebben helaas legio voorbeelden waar vissers zelf hebben geprobeerd vissen te redden en dit uiteindelijk heeft geleid tot een grotere vissterfte dan nodig was geweest. Doordat zij niet beschikken over de juiste materialen ontkomt de meeste vis, door het omwoelen van de bodem ontstaat er direct na de acties vaak een zuurstoftekort en stikken de achtergebleven vissen. Met de VISambulance nemen we professionele netten en elektrovisapparatuur mee zodat de meeste vissen daadwerkelijk worden gevangen. Ook kunnen experts beter inschatten wanneer er ingegrepen moet worden.
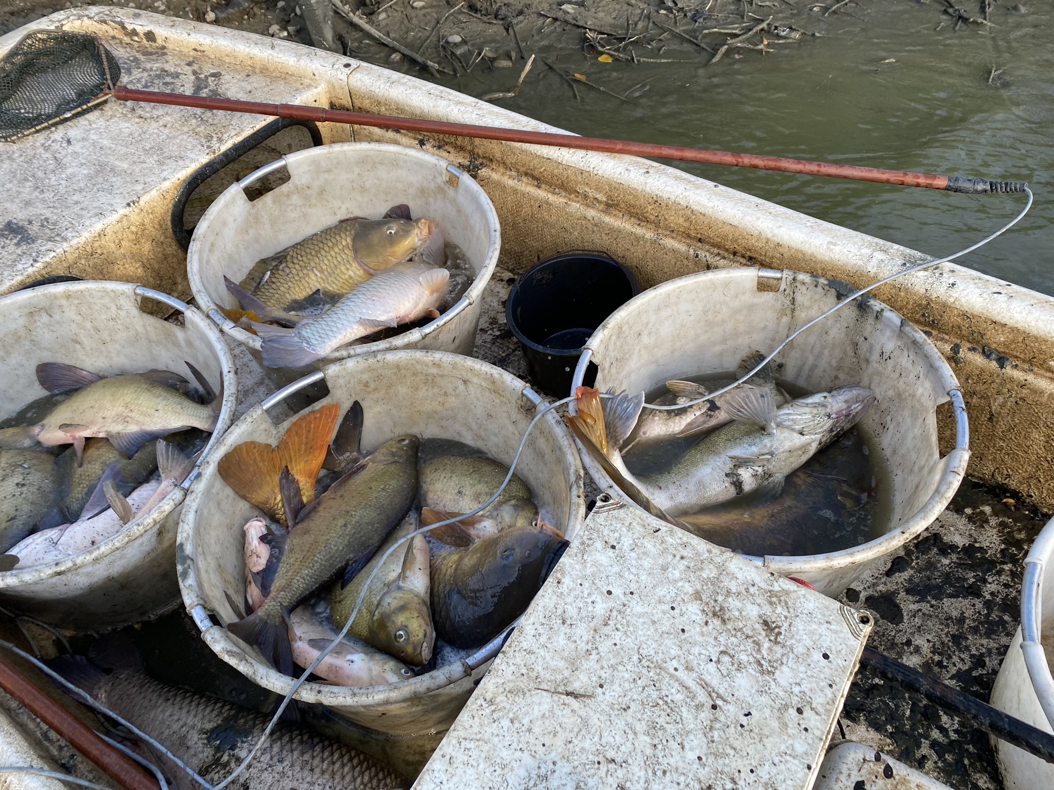
Dit soort beelden willen we graag voorkomen met inzet van de VISambulance!
Droogtefolder
Dat er met de VISambulance en talloze vrijwilligers veel vissen worden gered is natuurlijk erg mooi en nobel werk. Maar feitelijk moeten er structurele maatregelen komen die ervoor zorgen dat het beter gaat met het klimaat en de waterhuishouding. Omdat we vanuit de sportvisserij best wel wat ervaring en kennis in huis hebben is er een folder opgesteld over klimaatverandering en vis. Deze folder is inmiddels op veel plekken gedeeld en moet met name bestuurders en beleidsmakers helpen om de vissen mee te nemen in de plannen die zij ontwikkelen.
Klik hier om de folder klimaatverandering en vis te downloaden.
Reddingsacties 2022
Vanaf ongeveer juli komen er meldingen van vissen in nood binnen, halverwege augustus lijkt het aantal calamiteiten nog eens extra toe te nemen bij een zoveelste hittegolf. Als we de stand opmaken op 1 september 2022 kunnen we zeggen dat er door vrijwilligers en de VISambulance zeker op 40 locaties vissen gered zijn. Op andere plekken zijn we soms ook te laat gekomen en hebben de vissen het helaas niet gered. Waar droogte vooral op de hogere zandgronden een groot probleem was strekt het probleem zich nu ook, nog meer dan anders, uit langs de uiterwaarden van de grote rivieren. Met name langs de Waal drogen strangen en poelen met daarin tonnen vis op. Deze vissen zijn er met het hoge water van afgelopen voorjaar (of eerder) ingezwommen en zijn nu opgesloten geraakt in de afgesloten strangen en poelen. Het afvissen van dergelijke wateren is een klus voor professionals, hier zijn de materialen en middelen van de VISambulance niet geschikt voor. Inmiddels is er op 6 locaties met behulp van externe visserijbedrijven een afvissing uitgevoerd. Daarbij is naar schatting zo'n 6.000 kg vis gered. De visstand in deze wateren wordt meestal gedomineerd door grote brasems van 1,5-3 kg stuk aangevuld met voorn, winde, karper, meerval, snoek en snoekbaars.
Op onderstaande kaart is te zien op welke locaties nu daadwerkelijk vissen zijn gered:

Overzichtskaart reddingsacties in gebied Hengelsport Federatie Midden Nederland tot 1 sept 2022.
Het merendeel van de reddingsacties heeft plaatsgevonden in de Achterhoek, hier is de droogte het meest extreem. In 2018, 2019 en 2020 zijn hier ook al veel locaties afgevist. Helaas kwamen er in 2022 weer nieuwe locaties bij waardoor nu in veel beken vrijwel geen grotere vissen meer aanwezig zijn.
Reddingsacties in de media
Tijdens de reddingsacties is er vaak pers aanwezig om verslag te doen van deze acties. Dit levert erg veel publiciteit op! Met de publiciteit die we genereren willen we mensen bewust maken van de gevolgen van klimaatverandering en onze huidige waterhuishouding. Er is actie nodig is om het tij te keren als we nog vissen in onze wateren willen behouden.
Sportvissers zijn erg betrokken bij het welzijn van de vis en de natuur. De acties laten zien dat vissers meer doen dan alleen maar vissen vangen, ze zetten zich ook in om vissen te redden als dat nodig is. Dit gebeurd ook op locaties waar helemaal niet gevist mag worden en dus geen hengelbelang is. Dit dragen we graag uit via de media, zonder sportvissers waren veel vissen verstikt en hadden weinig mensen hier weet van gehad.
Hieronder enkele media items die recentelijk zijn verschenen:
Hieronder enkele foto's van de reddingsacties in 2022!